فيضانات أفغانستان.. 32 قتيلا و25 مصابا
لقي 32 شخصا حتفهم وأصيب 25، إثر وقوع فيضانات عارمة في إقليم باروان الواقع شمالي أفغانستان.
لقي 32 شخصا حتفهم وأصيب 25، إثر وقوع فيضانات عارمة في إقليم باروان الواقع شمالي أفغانستان.
واصل منسوب المياه في نهر الراين الانخفاض على نحو ملحوظ جراء الطقس الجاف في ألمانيا، ما قد يؤثِّر على عدد سفن الشحن التي يمكن أن تسير على طول الممر المائي.
استبعدت وزيرة البيئة البولندية ألا تكون مواد سامة هي سبب النفوق الجماعي لأسماك نهر أودر، مستطردة أن الاختبارات لم تثبت ذلك حتى الآن.
أعلنت الصين عن طائرة مسيرة مزودة بنظام جديد يمكن استخدامه في أعمال تعديل الطقس.
ناشد البابا فرانسيس بابا الفاتيكان المجتمع الدولي، مساعدة الصوماليين الذين يكافحون لمواجهة الجفاف والجوع في خطابه، الأحد، بالفاتيكان.
تعاني عدة دول أوروبية من جفاف غير مسبوق هذا الصيف ما دفع بعض الحكومات إلى البدء في اتخاذ إجراءات لمواجهة شح المياه.
تسبب حريق كبير في منطقة أراجون شمال إسبانيا، في إخلاء 8 قرى في إقليم سرقسطة وإجلاء 1500 شخص منها.
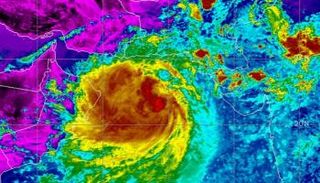
وفق السجلات المناخية المُتوفرة، فإن آخر نظام مداري تشكل في بحر العرب خلال شهر أغسطس / آب كان عام 1983، وأثر حينها بشكلٍ مُباشر على أجواء سلطنة عمان.
أصدر مكتب الأرصاد الجوية البريطانية، الأحد، تحذيرًا بشأن حدوث عواصف رعدية قد تصيب الأجزاء الشمالية من المملكة المتحدة.
كانت هذه اخر صفحة
هناك خطأ في التحميل