#التغير المناخي

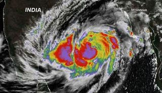
صورة لتشكّل الإعصار موكا

الحياة تعود إلى مدينة قطعها "موكا" عن العالم يوما كاملا

بدأت الاتصالات تُستأنف تدريجاً، الإثنين، مع عشرات الآلاف من سكان مدينة سيتوي الساحلية في بورما على خليج البنغال، بعدما انقطعت عن العالم في اليوم السابق، بعد إعصار موكا الذي أودى بحياة 5 أشخاص على الأقل في البلاد.

كانت هذه اخر صفحة

هناك خطأ في التحميل

 subscribe sign
اشترك في النشرة الإخبارية لدينا لمتابعة كل المستجدات وقت حدوثها
حمل أو حدث التطبيق